Captains

Captains

Primary Menu

  • キャプテンズとは
  • レンタル&ツアー
  • 案内・釣果
  • 交通案内
  • 釣りスポット
  • 予約・問い合わせ
Search

6月29日の釣果

Posted on: 2025年6月29日 Written by: captains

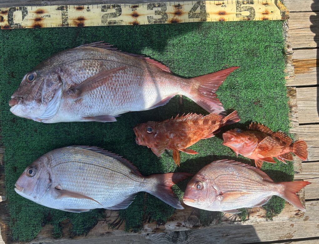
今日はまずまず釣れました。

マダイは50センチ級も混ざってアタリもたくさん、

アオリイカもシーズン終盤ですがポツポツ釣れています。

昨日はニガ塩で渋かったキスも今日は大漁ですね。

投稿ナビゲーション

Previous post 6月28日の釣果
Next post 7月4日の釣果

Sidebar

Toggle sidebar

最近の投稿

  • 5月3日の釣果
  • 4月30日の釣果
  • 4月29日の釣果
  • 4月27日の釣果
  • 4月26日の釣果

最近のコメント

  • 9月4日の釣果 に 小野寺勝 より
  • 7月26日の釣果 に 高木伸昭 より
  • 新規レンタル艇〜 に 矢代です! より
  • 今日は大物一本勝負! に イナガキ より
  • サゴシのボイルでゲットです に スギウラ より

アーカイブ

  • 2026年5月
  • 2026年4月
  • 2026年3月
  • 2026年2月
  • 2026年1月
  • 2025年12月
  • 2025年11月
  • 2025年10月
  • 2025年9月
  • 2025年8月
  • 2025年7月
  • 2025年6月
  • 2025年5月
  • 2025年4月
  • 2025年3月
  • 2025年2月
  • 2025年1月
  • 2024年12月
  • 2024年11月
  • 2024年10月
  • 2024年9月
  • 2024年8月
  • 2024年7月
  • 2024年6月
  • 2024年5月
  • 2024年4月
  • 2024年3月
  • 2024年2月
  • 2024年1月
  • 2023年12月
  • 2023年11月
  • 2023年10月
  • 2023年9月
  • 2023年8月
  • 2023年7月
  • 2023年6月
  • 2023年5月
  • 2023年4月
  • 2023年3月
  • 2023年2月
  • 2023年1月
  • 2022年12月
  • 2022年11月
  • 2022年10月
  • 2022年9月
  • 2022年8月
  • 2022年7月
  • 2022年6月
  • 2022年5月
  • 2022年4月
  • 2022年3月
  • 2022年2月
  • 2022年1月
  • 2021年12月
  • 2021年11月
  • 2021年10月
  • 2021年9月
  • 2021年8月
  • 2021年7月
  • 2021年6月
  • 2021年5月
  • 2021年4月
  • 2021年3月
  • 2021年2月
  • 2021年1月
  • 2020年12月
  • 2020年11月
  • 2020年10月
  • 2020年9月
  • 2020年8月
  • 2020年7月
  • 2020年6月
  • 2020年5月
  • 2020年4月
  • 2020年3月
  • 2020年2月
  • 2020年1月
  • 2019年12月
  • 2019年11月
  • 2019年10月
  • 2019年9月
  • 2019年8月
  • 2019年7月
  • 2019年6月
  • 2019年5月
  • 2019年4月
  • 2019年3月
  • 2019年2月
  • 2019年1月
  • 2018年12月
  • 2018年11月
  • 2018年10月
  • 2018年9月
  • 2018年8月
  • 2018年7月
  • 2018年6月
  • 2018年5月
  • 2018年4月
  • 2018年3月
  • 2018年2月
  • 2018年1月
  • 2017年12月
  • 2017年11月
  • 2017年10月
  • 2017年9月
  • 2017年8月
  • 2017年7月
  • 2017年6月
  • 2017年5月
  • 2017年4月
  • 2017年3月
  • 2013年11月

カテゴリー

  • 案内・釣果

メタ情報

  • ログイン
  • 投稿の RSS
  • コメントの RSS
  • WordPress.org

過去の釣果記録

  • 2026年5月
  • 2026年4月
  • 2026年3月
  • 2026年2月
  • 2026年1月
  • 2025年12月
  • 2025年11月
  • 2025年10月
  • 2025年9月
  • 2025年8月
  • 2025年7月
  • 2025年6月
  • 2025年5月
  • 2025年4月
  • 2025年3月
  • 2025年2月
  • 2025年1月
  • 2024年12月
  • 2024年11月
  • 2024年10月
  • 2024年9月
  • 2024年8月
  • 2024年7月
  • 2024年6月
  • 2024年5月
  • 2024年4月
  • 2024年3月
  • 2024年2月
  • 2024年1月
  • 2023年12月
  • 2023年11月
  • 2023年10月
  • 2023年9月
  • 2023年8月
  • 2023年7月
  • 2023年6月
  • 2023年5月
  • 2023年4月
  • 2023年3月
  • 2023年2月
  • 2023年1月
  • 2022年12月
  • 2022年11月
  • 2022年10月
  • 2022年9月
  • 2022年8月
  • 2022年7月
  • 2022年6月
  • 2022年5月
  • 2022年4月
  • 2022年3月
  • 2022年2月
  • 2022年1月
  • 2021年12月
  • 2021年11月
  • 2021年10月
  • 2021年9月
  • 2021年8月
  • 2021年7月
  • 2021年6月
  • 2021年5月
  • 2021年4月
  • 2021年3月
  • 2021年2月
  • 2021年1月
  • 2020年12月
  • 2020年11月
  • 2020年10月
  • 2020年9月
  • 2020年8月
  • 2020年7月
  • 2020年6月
  • 2020年5月
  • 2020年4月
  • 2020年3月
  • 2020年2月
  • 2020年1月
  • 2019年12月
  • 2019年11月
  • 2019年10月
  • 2019年9月
  • 2019年8月
  • 2019年7月
  • 2019年6月
  • 2019年5月
  • 2019年4月
  • 2019年3月
  • 2019年2月
  • 2019年1月
  • 2018年12月
  • 2018年11月
  • 2018年10月
  • 2018年9月
  • 2018年8月
  • 2018年7月
  • 2018年6月
  • 2018年5月
  • 2018年4月
  • 2018年3月
  • 2018年2月
  • 2018年1月
  • 2017年12月
  • 2017年11月
  • 2017年10月
  • 2017年9月
  • 2017年8月
  • 2017年7月
  • 2017年6月
  • 2017年5月
  • 2017年4月
  • 2017年3月
  • 2013年11月

FACEBOOK

Captains

INFOMATION

レンタルボートショップ CAPTAINS

住所 / 愛知県西尾市寺部港
営業時間 / 日の出から日没まで
電話 / 080-8122-5374
休業日 / 不定休

© 2026 Captains | Using Auberge WordPress theme. | Back to top ↑